Für Pferde
Für Pferde
Für Reiter
Für Reiter
Pferde kaufen
Pferde kaufen
Stall & Co.
Stall & Co.
Services
Services

Jung, edel, talentiert – Stute mit Siegerpotenzial

56294 Münstermaifeld, Deutschland directions
remove_red_eye 0005
CHF 7'928.27
8.560,00 €
Anfrage senden
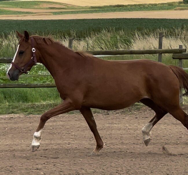
Geschlecht Stute
Rasse

Deutsches Reitpony

80 Inserate ab CHF 463.10 anzeigen
chevron_right
Alter (Jahre) 5
Stockmaß (cm) 147
Typ Pony / Kleinpferd
Farbe Fuchs
Disziplin
  • Dressur
  • Fahren
  • Freizeit
  • Springen
  • Vielseitigkeit
  • Zucht
Weitere Merkmale
  • Allrounder
  • Barhufer
  • Direkt vom Züchter
  • Ekzemfrei
  • Halfterführig
  • inkl. Equidenpass
  • Platz vor Preis
  • Roh
  • Schmiedefromm
  • Verladefromm
Diese charmante Stute vereint beste Blutlinien mit hervorragenden Grundgangarten und einem Charakter, der jeden Tag Freude macht. Aktuell noch roh, aber mit einem neugierigen, ausgeglichenen Wesen ausgestattet, bringt sie alles mit, was ein zukünftiges Schleifenpony braucht.

Ihr Trab ist überdurchschnittlich gut – elastisch, schwungvoll und mit viel Raumgriff. Auch Schritt und Galopp lassen ihr großes Potenzial erkennen. Dank ihrer vielseitigen Veranlagung eignet sie sich hervorragend für Dressur, Springen oder Vielseitigkeit – ganz nach individueller Förderung.

Mit ihrer klaren Kopfveranlagung und der auffällig guten Bewegung macht sie sich zur idealen Kandidatin für den Turniersport. Wer sie jetzt entdeckt und liebevoll fördert, wird in Zukunft mit einer echten Schleifensammlerin belohnt.

Stute: 8.560 € / Fohlen: 4.280 € // Zusammen: 12.000 € Zum Angebot des Anbieterslaunch
Abstammung
Top Vancouver
Speycksbosch Dickens
KL
1 Jahr dabei

Pferdevermittlung LeusFlagge DEKatharina Lehmann

56294 Münstermaifeld, Deutschland directions

open_in_new Pferdev... anzeigen
edit_calendar BillyRider-Anbieter (gewerblich) seit 2024
shareInserat teilen
Auf Facebook teilen Per WhatsApp teilen email
checklist_rtlBillyRiderAD-ID: 257127
update
Veröffentlicht: 28.10.2025
Vor Kurzem online
remove_red_eye 0005
library_booksgelistet in:
historyZuletzt angesehen: